Snaga prirode na djelu: Najrazorniji uragani u historiji
Uragan Melissa pogodio je Jamajku s najjačim vjetrovima koje je ova karipska država ikada doživjela. Evo kako se upoređuje s drugim olujama koje su oborile rekorde.
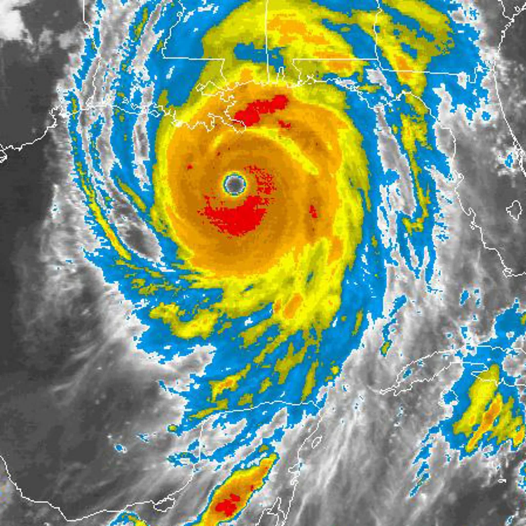
U oktobru 2025. uragan Melissa, kategorije pet, pogodio je jugozapadni dio Jamajke s vjetrovima brzine 185 milja na sat (295 km/h), što ga čini najsnažnijom olujom godine po brzini vjetra i jednom od najmoćnijih atlantskih oluja ikada zabilježenih. Svjetska meteorološka organizacija opisala ga je kao „olujom stoljeća“ za Jamajku, dok je Nacionalni centar za uragane upozorio na „katastrofalne i po život opasne bujične poplave“.
U nastavku donosimo pregled nekih od najmoćnijih i najrazornijih uragana u historiji.
Najviše izgubljenih života: Veliki uragan iz 1780. godine
U noći 9. oktobra 1780. godine, nakon toplog i mirnog dana na karipskom ostrvu Barbados, počela je padati kiša. Sljedećeg jutra zapuhao je povjetarac – a do 18 sati uragan je svom snagom pogodio ostrvo. Poznat kao Veliki uragan, i danas se smatra najsmrtonosnijim atlantskim uraganom ikada zabilježenim. Procjenjuje se da je u njemu stradalo između 20.000 i 27.500 ljudi.
Uragan je 'nemilosrdno protutnjao' kopnom, s vjetrovima koji su vjerovatno prelazili 200 milja na sat (322 km/h), toliko snažnim da ljudi nisu mogli čuti vlastite glasove. Iza sebe je ostavio gotovo ništa osim „blata, ruševina, mrtve stoke i ljudskih tijela“.
Nakon što je poharao Barbados, Veliki uragan nastavio je put preko Martinika, Svete Lucije i ostrva Sint Eustatius. Valovi visoki i do 7 metara (25 stopa) odnijeli su cijela sela u more, dok su čitave britanske i francuske pomorske flote – zajedno s hiljadama ljudi na brodovima – nestale na dnu okeana.

Veliki uragan 1780. godine razorio je nekoliko karipskih otoka (Foto: Alamy)
Najsmrtonosnija oluja u historiji SAD-a bio je uragan u Galvestonu 1900. godine. Prošao je preko Meksičkog zaliva početkom septembra 1900. i ojačao do kategorije četiri prije nego što je 6. septembra pogodio Galveston u Teksasu.
„Stalno smo nailazili na toliko mrtvih tijela da sam morao ići naprijed s kopljem i micati ih s puta… bilo je to najstrašnije što sam ikada vidio“, navodno je rekao preživjeli ribar. Procjenjuje se da je oluja usmrtila između 6.000 i 8.000 ljudi.

Galveston je ostao u ruševinama nakon što je uragan 1900. godine pogodio grad (Foto: Getty Images)
Još smrtonosnije oluje zabilježene su izvan Atlantskog bazena, gdje se ove oluje nazivaju ciklonima ili tajfunima, a ne uraganima. Ciklon Bhola iz 1970. godine pogodio je sjeveroistočnu Indiju i tadašnji Istočni Pakistan (današnji Bangladeš). Donio je razorni plimni val visok 10,5 metara (35 stopa). Procjenjuje se da je u toj oluji život izgubilo čak do 500.000 ljudi.

Ciklona Bhola se smatra odgovornom za smrt do 500.000 ljudi kada je pogodila područje današnjeg Bangladeša 1970. godine (Foto: Getty Images)
Najrazorniji uragani: Katrina i Mitch
Način na koji se mjeri šteta koju uzrokuju uragani može zavisiti od perspektive. Za ljude koji izgube imovinu, egzistenciju i voljene osobe, svaka oluja koja ih pogodi je katastrofalna. No, ako se gleda isključivo broj uništenih objekata, dva uragana se posebno ističu – Katrina i Mitch.
Glavni razlog zbog kojeg se uragan Katrina smatra najskupljom olujom u historiji jeste ogroman obim razaranja koje je ostavio za sobom u jugoistočnom dijelu SAD-a. Procjenjuje se da je između 217.000 i 300.000 domova uništeno ili učinjeno nenastanjivim. Vjetrovi brzine do 225 km/h pogodili su jugoistočni dio Louisiane. Plimni valovi dostigli su visinu od 7,6 do 8,5 metara (25-28 stopa) iznad normalnog nivoa plime duž obale Mississippija i 3 do 6,1 metar (10-20 stopa) iznad normalnog nivoa plime duž jugoistočne Louisiane. U New Orleansu, snažni valovi i plimni val probili su nasipe namijenjene zaštiti grada.

Uragan Katrina 2005. godine donio je razaranje ranije nezamislivih razmjera u Louisiani (Foto: Getty Images)
Ukupno je gotovo 80% grada bilo pod vodom, koja je dostizala dubinu od 6 metara (20 stopa), dok je 59 tornada koja su nastala iz oluje proširilo štetu na osam saveznih država.
Ova razaranja učinila su uragan Katrinu najskupljom olujom koja je ikada pogodila SAD, s ukupnom štetom od 201,3 milijarde dolara (148,3 milijarde funti), preračunato na dolare iz 2024. godine. Nakon Katrine, druga po skupocjenosti bila je oluja Harvey, koja je pri dolasku na kopno u Teksasu i Louisiani prouzrokovala štetu od 160 milijardi dolara (118 milijardi funti).

Šteta koju je prouzrokovao uragan Katrina učinila ga je najskupljim u historiji (Foto: NOAA)
No, gotovo sedam godina ranije, jedan drugi uragan izazvao je gotovo jednako razaranje kao Katrina.
U SAD-u je uragan Mitch ostavio relativno manju štetu – 645 domova na Floridi uništeno je dok je oluja u oktobru 1998. prelazila preko Meksičkog zaliva sa poluotoka Jukatan u Meksiku. Do tada je, međutim, već napravila najveću štetu.

Uragan Katrina je potopio 80% New Orleansa, ostavljajući stanovništvo u krizi (Foto: Getty Images)
Sedmicu ranije Mitch je pogodio Honduras, uništavajući čitave zajednice dok je ostavljao trag razaranja kroz Srednju Ameriku. Ova oluja bila je pravi monstruozni uragan – kategorije pet, i još uvijek se ubraja među najsnažnije ikada zabilježene.
Do trenutka udara na Honduras, oslabio je na kategoriju jedan, ali se zadržao nad kopnom, izbacujući ogromne količine kiše. Poplave i klizišta koja su uslijedila odnijela su između 10.000 i 19.000 života u Hondurasu, Nikaragvi, Gvatemali, Belizeu i El Salvadoru. Najmanje 200.000 domova bilo je uništeno ili teško oštećeno. Samo u Hondurasu uništeno je 70.000 domova i 92 mosta, dok su cijela sela progutale rijeke blata koje su se slijevale niz planinske padine. UN je procijenio da je ukupno više od pola miliona ljudi ostalo bez krova nad glavom.

Uragan Mitch je, prema riječima tadašnjeg predsjednika Hondurasa 1998. godine, zaustavio ekonomski razvoj zemlje za 50 godina (Foto: Getty Images)
Najveće brzine vjetra
Lako biste mogli pomisliti da su najmoćnije oluje one koje izazivaju najveću štetu i odnose najviše života. To, međutim, nije uvijek slučaj.
Uragan Patricia bio je 24. uragan u sezoni 2015. godine i formirao se blizu Zaliva Tehuantepec, uz južnu obalu Meksika. Povoljni uvjeti omogućili su mu da iz tropske oluje preraste u uragan kategorije pet za samo 24 sata.
23. oktobra, najviša brzina vjetra Patricie izmjerena u trajanju od 10 sekundi iznosila je 356 km/h, izmjerena iz aviona u letu (na tlu je izmjereno 338 km/h, odnosno 210 mph). To je najviša brzina ikada zabilježena na zapadnoj hemisferi i jednaka intenzitetu jedne od najmoćnijih oluja ikada zabilježenih, tajfuna Nancy iz 1961. godine.

Uragan Patricia je prouzrokovao široko rasprostranjenu materijalnu štetu, ali je život izgubio manji broj ljudi (Foto: Getty Images)
Putanja Patricie prolazila je kroz relativno slabo naseljena područja Meksika, promašivši veće gradove, što je ograničilo broj žrtava. Oluja je također znatno oslabjela nakon udara na meksičku obalu, iako je pri dolasku na kopno zabilježena brzina vjetra do 265 km/h (165 mph). Utjecaj planinskog terena Meksika dodatno je oslabilo Patriciu, te je do 24. oktobra gotovo potpuno nestala.
Unatoč svojoj snazi, broj žrtava Patricie bio je iznenađujuće mali – prema Nacionalnoj upravi za okeane i atmosferu SAD-a, samo su dvije osobe poginule direktno uslijed oluje, uz još četiri indirektne smrti.
Brzo jačanje
Ove sedmice, uragan Erin postao je prvi atlantski uragan 2025. godine, zaobilazeći kopno SAD-a, zbog čega su meteorolozi izdali upozorenja surferima na opasne struje. Smatra se jednim od najbrže jačajućih uragana ikada zabilježenih tako rano u sezoni. Najjače oluje obično nastaju kasnije tokom godine, nakon 1. septembra. Erin je u nešto više od 24 sata prešao od uragana kategorije jedan do kategorije pet, prije nego što je ponovno oslabio na kategoriju dva.
Brzo jačanje označava povećanje maksimalne održive brzine vjetra tropskog ciklona za najmanje 30 čvorova (35 mph) u roku od 24 sata, prema Nacionalnoj meteorološkoj službi SAD-a. Takvi brzo jačajući uragani mogu biti posebno opasni, jer ljudima ostavlja manje vremena za pripremu.

Uragan Milton brzo je jačao, potpomognut toplim vodama i povoljnim atmosferskim uslovima (Izvor: NASA)
Erin nije jedina oluja koja se u posljednjih godina brzo intenzivirala. 2024. godine uragan Milton postao je najbrže jačajući atlantski uragan ikada, prelazeći iz tropske depresije u uragan kategorije pet. Iste godine, uragan Beryl oborio je rekord kao najbrže jačajući atlantski uragan u junu ili početkom jula, prelazeći iz tropske depresije u uragan. Godine 2023. uragani Lee i Jova zapanjili su naučnike svojim naglim jačanjem, posebno s obzirom na to da se to dogodilo tokom El Nina, koja obično smanjuje aktivnost uragana u Atlantskom okeanu.
Naravno, uragani su se oduvijek intenzivirali različitim brzinama. Dva druga atlantska uragana – Felix iz 2007. i Wilma iz 2005. – također su zapažena zbog posebno brzog jačanja. Ipak, istraživanja su pokazala da su se ukupne stope intenzifikacije značajno povećale posljednjih godina zbog globalnog zagrijavanja, trend koji se očekuje da će se nastaviti.
Sve se svodi na topliju površinu mora preko koje ove oluje prolaze uslijed klimatskih promjena – Erin je, primjerice, prošla preko voda koje su bile u prosjeku 1,1°C toplije zbog klimatskih promjena.
federalna.ba/BBC